
Granby Traction Power Substation and Duct Bank Replacement Project
Timeline:
Starting as early as January 2026, Granby Positive and Negative Feeders and Duct Bank Replacement construction will be taking place in multiple stages on sections of Yonge Street, Sheard Street, and Granby Street until June 2026*
* Content/timeline accurate at the time of printing. Pending weather, unforeseen site conditions, and events.
What we are doing and why:
The Traction Power Upgrade program involves critical upgrades to TTC’s traction power substations (TPSS), necessary to support the power demands for increased train service and expanded subway station capacity. To upgrade its TPSS infrastructure, TTC requires to upgrade and install new electrification and servicing infrastructure within the City’s road right-of-way.
The TTC is going to construct a new underground traction power duct bank between Granby Substation and the Hayter Breaker Room near College Station. This duct bank will carry adequate spare capacity for future Traction Power Cables.
What to expect:
The TTC is proposing temporary changes on Yonge St, Sheard St, McGill St, and Granby St to accommodate the Granby Traction Power Substation work.
During construction there will be changes to parking and traffic direction:
- Permit Parking will remain on Granby St and McGill St.
- Green P parking will be removed and there will be no parking except by permit.
- The existing one-way movement of Granby St east, Sheard St south, and McGill St west will be converted to two-way movements during various phases of the project.
- Yield signs will be in place. Eastbound motorists will yield. Westbound motorists will have the right of way.
- Granby St and McGill St will be dead-end streets along sections of Sheard throughout stages 4-6 of construction.
- The two permit parking/Green P spaces on Granby St at Sheard St will be occupied.
- Vehicle access to these streets will remain.
- Work will typically take place Monday to Friday between 7 a.m. and 7 p.m. Some work on weekends between 9 a.m. and 7 p.m. may be required. For safety, overnight work may be required.
- Efforts will be made to keep disruption associated with noise and dust to a minimum
- Access to subway service will be maintained throughout construction.


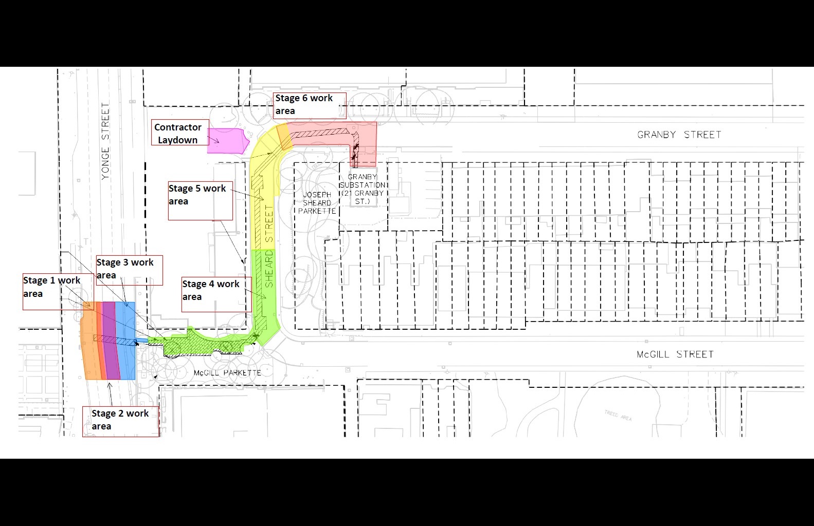
Multiple stages of construction may take place in parallel
Road Closures on Yonge Street:
Stage 1: Southbound lanes on Yonge Street. Occupation of two southbound traffic lanes. Two lanes of traffic remain open (one southbound and one northbound). No impact to pedestrian clearway.
Stage 2: Through lanes on Yonge Street. Occupation of one southbound and one northbound lane. Two lanes of traffic remain open (one southbound and one northbound). No impact to pedestrian clearway.
Stage 3: Northbound lanes on Yonge Street. Occupation of two northbound lanes. Two lanes of traffic remain open (one southbound and one northbound). Sidewalk occupation on the east side of Yonge Street at McGill Parkette. Pedestrian clearway on Yonge Street to be maintained at all times.
Road Closures on Sheard Street, McGill Street, and Granby Street:
Stage 4: McGill Parkette and Sheard Street. Closure of a portion of Sheard Street, occupation of a portion of McGill Parkette. Sidewalk closure on the west side of Sheard Street adjacent to occupation. Pedestrian clearway maintained on the east side of Sheard Street and through McGill Parkette.
Stage 5: Granby Street and Sheard Street. Closure of a portion of Sheard Street and partial sidewalk closures on the west and east sides of Sheard Street adjacent to occupation. Pedestrian clearway maintained around the occupation on the west side of Sheard Street and through Joseph Sheard Parkette on the east side of Sheard Street.
Stage 6: Granby Street. Closure of a portion of Granby Street and sidewalk closure on the and south side of Granby Street adjacent to occupation. Pedestrian clearway maintained on the north side of Granby Street.
Contact us
If you are interested in receiving updates about this project, please email your contact information to the project's Community Liaison Officer.Please be sure to include your name, address (including city and postal code), phone number and email address. Also, please let us know how you prefer to be contacted – by email, regular mail or both.
Clive Scott
Senior Community Liaison Officer
Clive.Scott@ttc.ca
437-219-5174
Presentation Slides
Community Relations Presentation: Granby Duct Bank - FALL 2025 Update
Construction notices
October Construction Notice
December 2025 Construction Notice Update